Blosyropus spinosus
| Blosyropus spinosus | |
|---|---|
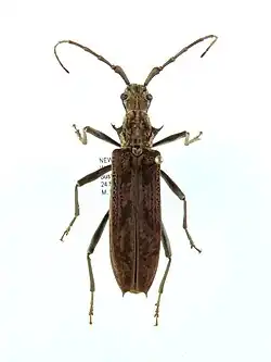
|   | |
| Dorsal view of a Blosyropus spinosus specimen in the Whanganui Regional Museum | |
| Scientific classification   | |
| Kingdom: | Animalia | 
| Phylum: | Arthropoda | 
| Class: | Insecta | 
| Order: | Coleoptera | 
| Suborder: | Polyphaga | 
| Infraorder: | Cucujiformia | 
| Family: | Cerambycidae | 
| Subfamily: | Cerambycinae | 
| Tribe: | Phlyctaenodini | 
| Genus: | Blosyropus | 
| Species: | B. spinosus | 
| Binomial name | |
| Blosyropus spinosus Redtenbacher, 1868 | |
Blosyropus spinosus, also known as the spiny longhorn or spiny silver-pine borer, is a rare species of longhorn beetle endemic to New Zealand. It has no specific Māori name, but the term for large longhorns of this type are howaka and kapapa.[1]
Taxonomy
B. spinosus was first described in 1868 by Ludwig Redtenbacher in his Reise der österreichischen Fregatte Novara um die Erde.[2][3] The genus Blosyropus is often referred to within the subfamily Lepturinae, but is now considered to be in the Cerambycinae[4][5] and the tribe Phlyctaenodini.[6]
Description
B. spinosus is one of the largest endemic beetles in New Zealand,[7] growing to around 46 mm long.[8] It is nocturnal,[9] and flightless.[8] The hind wings are shortened or completely reduced in both sexes in this genus.[6] Blosyropus spinosus is dark brown in colour with yellowish hairs on its body.[8] Its key distinguishing characteristic is a single short spine on each side of its head above the eyes and behind the antennae. There are four spines midway along the pronotum (thorax) in front of the elytra.[10][8]
Distribution
This species is endemic to New Zealand.[2][8]
Habitat
B. spinosus has been found in forest in many areas of New Zealand.[9] Its larvae have been discovered in rotting logs of a variety of trees including tawa, Dracophyllum, pōhutukawa, manoao (silver pine), and red beech, as well as in podocarp forest.[8][10][11] It is a Category I (indeterminate status) Threatened Species.[12]
Behaviour
The adult beetle is attracted to lights.[8] Eggs are laid towards the top of the tree and the larva tunnel downwards as they feed on the rotting wood.[13] Pupation occurs in a large pupal chamber at the base of the tree.[13] This pupal chamber opens to the outside but is plugged with coarsely chewed wood that has not been digested by the larva.[13] After completing metamorphosis, the beetle may overwinter or hibernate within the pupal chamber.[13]
- 
			 Male Blosyropus spinosus Male Blosyropus spinosus
- 
			_AMNZ49737.jpg) Head of Blosyropus spinosus in the Auckland Museum collection. Head of Blosyropus spinosus in the Auckland Museum collection.
References


- ^ Miller, David (1952). "The insect people of the Maori". The Journal of the Polynesian Society. 61 (1/2): 1–61. JSTOR 20703320.
- ^ a b "Blosyropus spinosus Redtenbacher, 1868". New Zealand Organisms Register. Archived from the original on 3 September 2017. Retrieved 3 September 2017.
- ^ Felder, Cajetan; Wüllerstorf-Urbair, Bernhard (1861). Reise der österreichischen Fregatte Novara um die Erde in den Jahren 1857, 1858, 1859 unter den Befehlen des Commodore B. von W. Wien: Kaiserlich-K. doi:10.5962/bhl.title.1597.
- ^ Duffy, BAJ (1963). A monograph of the immature stages of Australasian timber beetles (Cerambycidae). pp. 1–235.
- ^ Sopow, Stephanie; Gresham, Belinda; Bain, John (2015). "Exotic longhorn beetles (Coleoptera: Cerambycidae) established in New Zealand". New Zealand Entomologist. 38 (2): 107–125. doi:10.1080/00779962.2014.993798. S2CID 86130081.
- ^ a b Leschen, Richard A. B.; Beutel, Rolf (2014). Coleoptera, beetles. Vol. 3: Morphology and systematics (Phytophaga). Berlin. ISBN 978-3-11-027370-0. OCLC 878076434.{{cite book}}: CS1 maint: location missing publisher (link)
- ^ Marris, John (24 September 2007). "Beetles - What is a beetle?". Te Ara - the Encyclopedia of New Zealand. Retrieved 3 September 2017.
- ^ a b c d e f g "The Conservation Requirements of New Zealand's Nationally Threatened Invertebrates" (PDF). Department of Conservation. Government of New Zealand. Retrieved 18 April 2016.
- ^ a b "Beetle (Longhorn Spiny) Blosyropus spinosus". Taranaki Educational Resource: Research, Analysis and Information Network. Retrieved 18 April 2016.
- ^ a b Crowe, Andrew (2002). Which New Zealand Insect?. North Shore: Penguin. p. 44. ISBN 978-0-14-100636-9.
- ^ Sopow, Stephanie L.; Bain, John (14 September 2017). "A checklist of New Zealand Cerambycidae (Insecta: Coleoptera), excluding Lamiinae" (PDF). New Zealand Entomologist. 40 (2): 55–71. doi:10.1080/00779962.2017.1357423. ISSN 0077-9962. Wikidata Q56166058.
- ^ McGuinness, Carl A. (2001). The conservation requirements of New Zealand's nationally threatened invertebrates. Wellington, New Zealand: Biodiversity Recovery Unit, Dept. of Conservation. ISBN 0-478-22048-0. OCLC 49672723.
- ^ a b c d Morgan, F. David (1960). "The Comparative Biologies of Certain New Zealand Cerambycidae". New Zealand Entomologist. 2 (5): 26–34. doi:10.1080/00779962.1960.9722791.