Naples Airport (Florida)

Naples Airport
Summary
Airport typePublic
Owner/OperatorNaples Airport Authority
ServesNaples, Florida, U.S.
Built1942
Elevation AMSL8 ft / 2 m
Coordinates26°09′09″N 81°46′32″W / 26.15250°N 81.77556°W / 26.15250; -81.77556
WebsiteFlyNaples.com
Maps
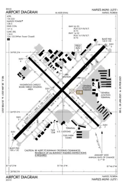
FAA airport diagram
FAA airport diagram
Runways
Direction Length Surface
ft m
05/23 6,600 2,012 Asphalt
14/32 5,000 1,524 Asphalt
SW/NE 1,850 564 Turf
Statistics (2022)
Aircraft operations113,137
Based aircraft371

Naples Airport (IATA: APF[2], ICAO: KAPF, FAA LID: APF), formerly known as Naples Municipal Airport, is a public use airport located two nautical miles (4 km) northeast of the central business district of Naples, the most populous city and county seat of Collier County, Florida. It is owned by the Naples Airport Authority.[1] The airport is home to flight schools, air charter operators, car rental agencies, and corporate aviation and non-aviation businesses. The airport is also a central location for public services, including fire/rescue services, mosquito control, the Collier County Sheriff's Aviation Unit and other community services.[3]

During fiscal year 2021–2022, the airport serviced 113,137 operations.[1] The airport is used almost exclusively for general aviation, with one airline, JSX, offering scheduled passenger service as of 2025.

History

The facility was established in 1942 as Naples Army Air Field by the United States Army Air Forces.[3] It was initially assigned to the Southeast Training Center (later Eastern Flying Training Command), and provided basic (level 1) flight training to flight cadets by Embry-Riddle Co; Fairchild PT-19s were the primary trainers used. Along with the flight training, it was a sub-base to Buckingham Army Air Field for flexible gunnery training, which the 75th Flying Training Wing supervised. It was inactivated as a military airfield in November 1945 and turned over to the War Assets Administration for conveyance to civil control as a public airport.[4]

The Naples Airdrome was returned to the city of Naples and Collier County in 1947, after the military deemed it no longer necessary.[3] The airport was managed by John Zate, a pilot and Naples resident. Provincetown-Boston Airlines began scheduled service to Miami International Airport in the 1950s, and managed the airport for several years until a municipal airport authority was created in 1969. Also in 1969 the eye of Tropical Storm Jenny passed through the bottom left wing and top left wing of the airport and cause over $10,000+ in damage.[3][5] The airport also historically had scheduled service to Orlando, Tampa, St. Pete–Clearwater, Miami and Key West under PBA in the late 1970s.[6] Traffic at the airport peaked in 1980, when more than 195,000 passengers used the airport, but fell in the mid-1980s due to the opening of the much larger Southwest Florida International Airport in nearby Fort Myers.[6] The airport code APF derives from "alternate Page Field" - which is a reference to Page Field in Fort Myers.[7]

The airport experienced a rebound in traffic during the mid-1990s, with 173,000 passengers and seven airlines in 1995.[6] Passenger numbers dipped when American Eagle ceased scheduled service to Miami in 2001, and dipped even further following the September 11, 2001, attacks.[8] In 2003, US Airways Express ceased its service from Naples to Tampa.[9] Atlantic Southeast Airlines operated Delta Connection flights between Naples and Atlanta from 2004 to 2007 with a revenue guarantee from the city, but ended the service after retiring its fleet of 30-seat aircraft, again leaving the airport without scheduled service.[10] Yellow Air Taxi had flights to Fort Lauderdale and Key West, but the service was ended in December 2008.[11] Elite Airways also began scheduled service to the airport in February 2016, with flights to Portland (ME), Newark, Vero Beach, and Melbourne (FL),[12][13] but ended in March 2017 due to low passenger counts.[14]

In December 2018, the airport authority changed the facility's name from Naples Municipal Airport to Naples Airport. They also changed the airport's logo to a more modern one.[15][16]

Facilities and aircraft

Naples Airport covers an area of 732 acres (296 ha) at an elevation of 8 feet (2.4 m) above mean sea level. It has two asphalt paved runways: 05/23 measuring 6,600 by 150 feet (2,012 by 46 m) and 14/32 measuring 5,000 by 100 ft (1,524 by 30 m). It also has one turf runway designated SW/NE which measures 1,850 by 100 ft (564 by 30 m).[1]

For the 12-month period ending April 30, 2022, the airport had 113,137 aircraft operations, an average of 260 per day: 85.3% general aviation, 14.4% air taxi, 0.2% military and 0.1% airline. At that time, there were 304 aircraft based at this airport: 62.2% single-engine, 17.1% multi-engine, 15.1% jet and 5.6% helicopter.[1]

The airport has two terminals: the North Road Terminal and the General Aviation Terminal. Charter airlines like ExecAir and NetJets and car rental agencies are located in the North Road Terminal. There is also a military museum with WWII artifacts and memorabilia. The car rental agencies offered are Hertz, Avis, Enterprise, Thrifty and Alamo. The General Aviation Terminal is a two-story terminal used for personal flights, and also houses car rental agencies.[17]

General aviation

Airline and destination

AirlinesDestinations
JSX Seasonal: White Plains[21]

Accidents and incidents

  • On September 10, 1985, a Douglas DC-3 of the Collier Mosquito Control District crashed at East Naples while on approach to Naples Municipal Airport following an engine failure. The aircraft was on agricultural duties at the time. The two people on board the aircraft survived the accident.[22]
  • On June 20, 2005, a Cessna 182 Skylane departing Naples Municipal Airport entered an area of severe weather over the Gulf of Mexico. The aircraft was never recovered, with the crash resulting in one fatality.[23]
  • On February 9, 2024, Hop-A-Jet Flight 823 crashed on Interstate 75 while attempting to land at the airport. The pilots of the Bombardier Challenger 604 aircraft reported a dual engine failure while on final approach. The aircraft attempted an emergency landing on the highway but struck a vehicle and caught fire. Two of the five people aboard were killed in the accident. [24][25]

See also

References

  1. ^ a b c d e FAA Airport Form 5010 for APF PDF. Federal Aviation Administration. Effective December 8, 2018.
  2. ^ "IATA Airport Code Search (APF: Naples)". International Air Transport Association. Retrieved December 28, 2012.
  3. ^ a b c d "Airport History - Naples Municipal Airport". FlyNaples.com. City of Naples Airport Authority. Archived from the original on December 17, 2010.
  4. ^ "History of The Naples Airport". Museum of Military Memorabilia. January 11, 2013. Retrieved December 21, 2021.
  5. ^ "The sky's the limit". naples.floridaweekly.com. October 22, 2009. Retrieved December 21, 2021.
  6. ^ a b c City of Naples Airport Authority Operating and Capital Budget (PDF). 2013. {{cite book}}: |website= ignored (help)
  7. ^ Ecenbarger, William (May 4, 2003). "Sorting out the mystery of those airport codes". Chicago Tribune. Archived from the original on 2017-08-23. Retrieved 2017-08-23.
  8. ^ Heller, Jean (August 4, 2003). "Wanted: Airline, please call Naples". St. Petersburg Times. Archived from the original on 2012-10-17. Retrieved 2010-08-16.
  9. ^ "Airport in Naples left without an air carrier". St. Petersburg Times. Associated Press. June 16, 2003. Archived from the original on 2016-03-04. Retrieved 2012-12-30. [1]
  10. ^ Henderson, John (August 17, 2007). "Delta to discontinue service at Naples airport". Naples Daily News. Archived from the original on 2017-10-09. Retrieved 2018-01-09.
  11. ^ "Yellow Air Taxi no longer running scheduled flights from Naples". Naplesnews.com. December 18, 2008. Retrieved December 21, 2021.
  12. ^ Logan, Casey (February 3, 2016). "Elite Airways to serve Naples Airport". The News-Press.
  13. ^ Wixon, Colleen (20 January 2017). "Elite Airways scales back in Naples, but Vero Beach looking at expansion". TCpalm.com. Retrieved December 21, 2021.
  14. ^ "With low passenger counts, Elite Airways ends its service in Naples". Naples Daily News. March 30, 2017. Retrieved May 17, 2019.
  15. ^ Layden, Laura (December 19, 2018). "Naples Municipal Airport shortens its name, adds information to website". Naples Daily News.
  16. ^ "Naples Airport Authority unveils new name, logos and website". FloridaTrend.com (Press release). December 19, 2018.
  17. ^ "Ground Transportation". Fly Naples. 7 May 2018. Retrieved 2019-05-17.
  18. ^ "Private Jet Charter in Naples, FL". Velox Air Charter. Retrieved 2019-03-12.
  19. ^ "Private Jet Charter: West Palm Beach". Clay Lacy Aviation. Retrieved 2019-08-28.
  20. ^ "Private Jet Charter: Naples, Florida". Monarch Air Group. Retrieved 2012-08-12.
  21. ^ "Award-winning Air Carrier JSX Launches New Sun & Ski Routes to Florida and Salt Lake City Starting in Late 2024". Street Insider. June 26, 2024. Retrieved June 26, 2024.
  22. ^ "Accident description". Aviation Safety Network. Archived from the original on 2012-11-02. Retrieved July 27, 2010.
  23. ^ "NTSB Safety Alert: Thunderstorm Encounters" (PDF). NTSB.gov. National Transportation Safety Board. Archived from the original (PDF) on September 16, 2012. Retrieved July 25, 2012.
  24. ^ "Small plane collides with vehicle in fiery crash on I-75 near Naples". naplesnews.com. Naples Daily News. Retrieved February 9, 2024.
  25. ^ Tabachnick, Cara (2024-02-10). "2 dead after plane crashes onto highway near Naples, Florida, and bursts into flames - CBS News". www.cbsnews.com. Retrieved 2024-02-13.

Other sources