Neolindus triangularis
| Neolindus triangularis | |
|---|---|
|   | |
| Scientific classification   | |
| Kingdom: | Animalia | 
| Phylum: | Arthropoda | 
| Class: | Insecta | 
| Order: | Coleoptera | 
| Suborder: | Polyphaga | 
| Infraorder: | Staphyliniformia | 
| Family: | Staphylinidae | 
| Genus: | Neolindus | 
| Species: | N. triangularis | 
| Binomial name | |
| Neolindus triangularis Guzman, Tokareva & Żyła, 2024 | |
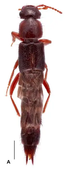
Neolindus triangularis is a species of beetle of the family Staphylinidae. This species is known from the type locality in French Guiana (Saint-Laurent-du-Maroni, Saül, Monts La Fumée), the surrounding forest, and an area around 130 km south-east from the type locality (Cayenne, Matoury).
Description
Adults have a brown head and pronotum, while the legs are light brown and the abdomen is brown.
Etymology
The species name is derived from Latin triangulus (meaning a triangle) and refers to the form of the median lobe of the aedeagus.[1]