Pseudaeolesthes aureopilosa
| Pseudaeolesthes aureopilosa | |
|---|---|
| |
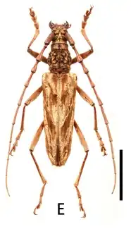
| Male | |
| |
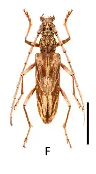
| Female | |
| Scientific classification | |
| Kingdom: | Animalia |
| Phylum: | Arthropoda |
| Class: | Insecta |
| Order: | Coleoptera |
| Suborder: | Polyphaga |
| Infraorder: | Cucujiformia |
| Family: | Cerambycidae |
| Genus: | Pseudaeolesthes |
| Species: | P. aureopilosa
|
| Binomial name | |
| Pseudaeolesthes aureopilosa (Gressitt & Rondon, 1970)
| |
| Synonyms | |
| |
Pseudaeolesthes aureopilosa is a species of beetle in the family Cerambycidae. This species is found in Laos, Vietnam[1] and China (Yunnan).[2]
References
- ^ Tavakilian, G.; Chevillotte, H. "Pseudaeolesthes aureopilosa (Gressitt & Rondon, 1970)". Base de données Titan sur les Cerambycidés ou Longicornes. IRD-MNHN. Retrieved 4 July 2025.
- ^ Some new distribution records of longicorn beetles (Coleoptera) from a collecting trip in South Yunnan, China

